목록
작성일:26-04-21 16:11    조회:11회    댓글:0건
글 제 목

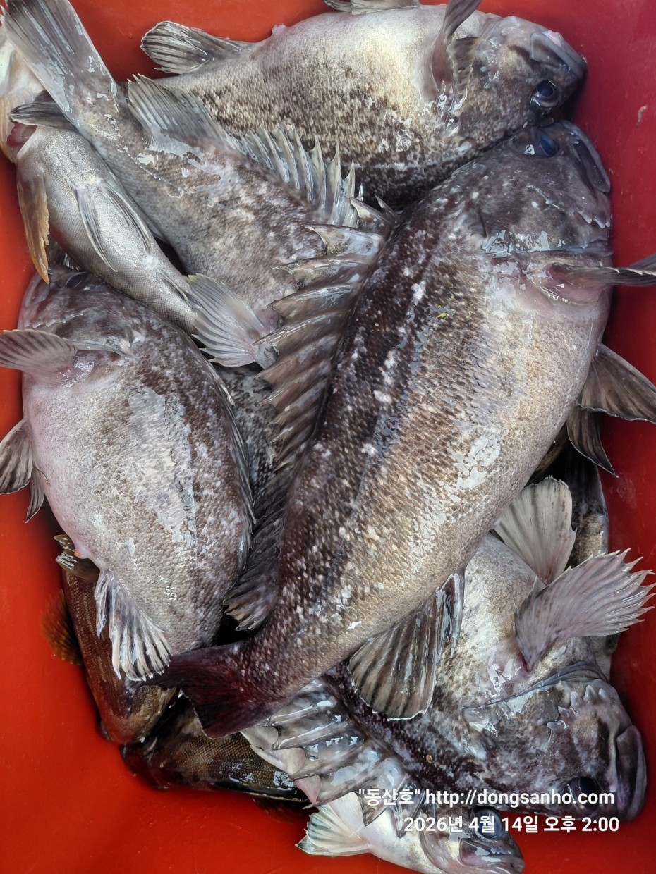
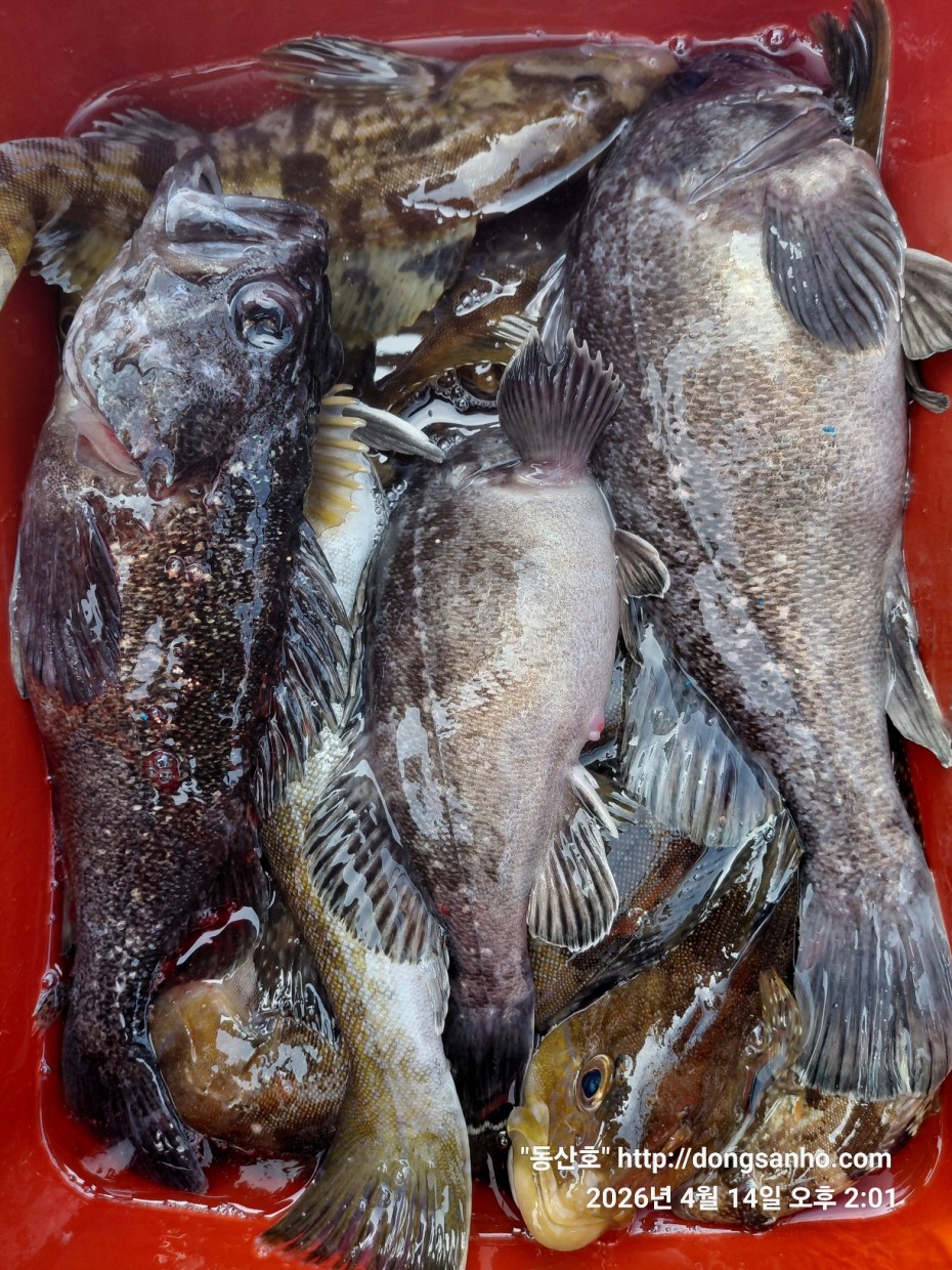
4/14 내만권 우럭낚시 조황

작 성 자 마도로스

본문




    ◇ 장고항 선상낚시 배낚시 바다낚시 낚시배 

 

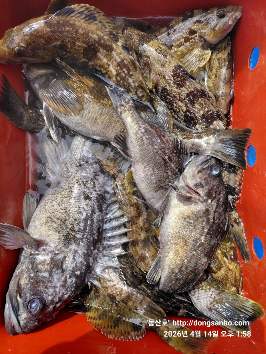
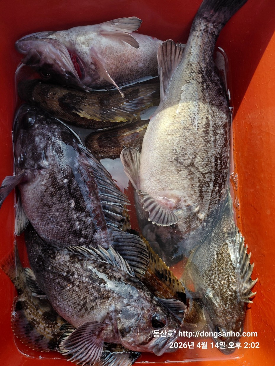
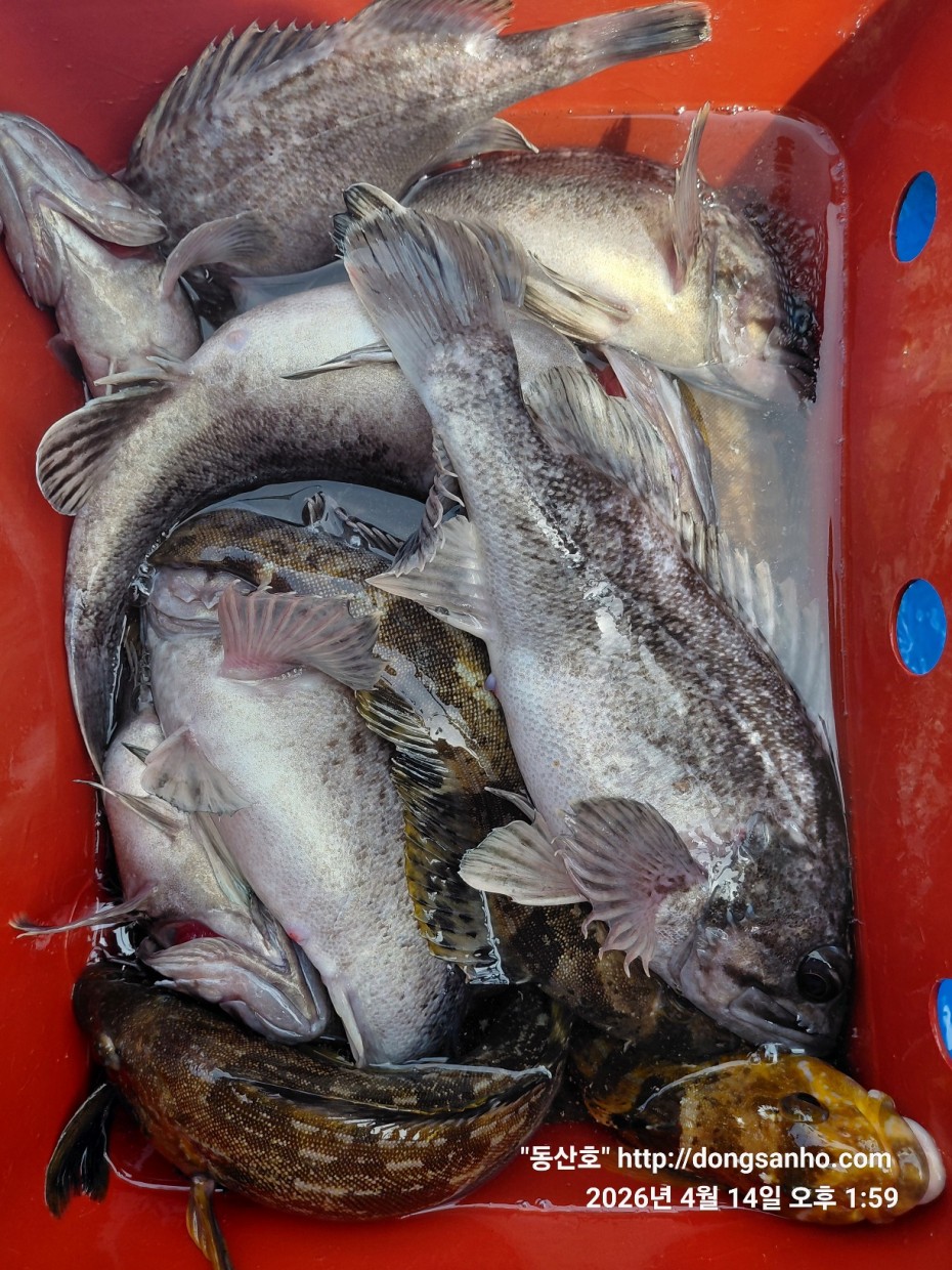
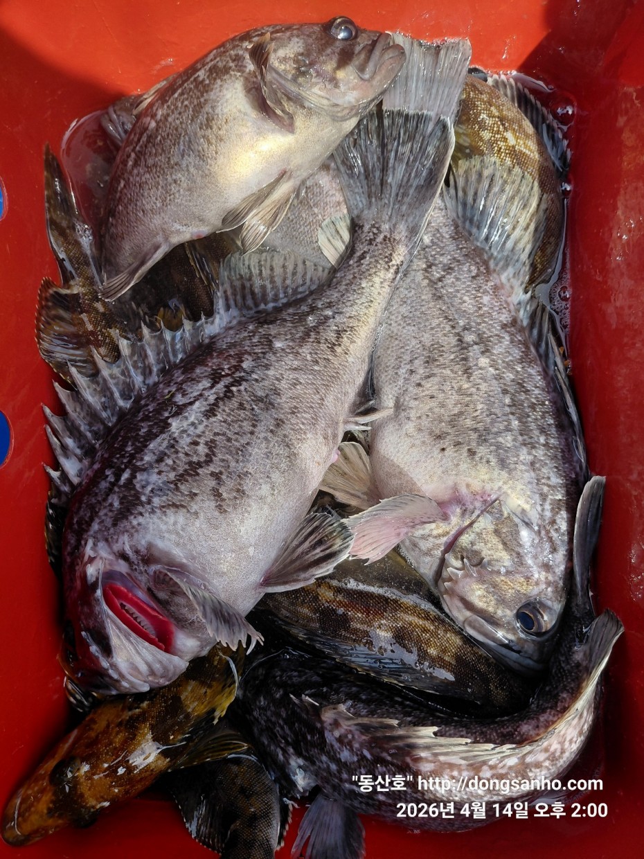
        서해 동산피싱 "동산호" 우럭낚시 조황



    날짜 : 4/14


    날씨 : 맑음 (굿~날씨 장판)


    물때 : 3물


    성적 : 광어 우럭 노래미 볼락



    우럭낚시 5일째날


    오늘도 날씨가 기똥차게좋네요.



   출항해서 한번은 우럭 올라오고 또 그다음은 노래미 올라오고 반복 


    하다가 오전에 한번 우당탕탕~ 돼지우럭 팔뚝 노래미로 한번주더니


    이후로 우럭은 띄엄띠엄 하루종일 노래미는 줄기차게 나오네요.


    오늘 노래미로 만쿨들하셨네요.



    찾아주신 모든분들 수고들하셨습니다.



    ☆ 출조전날 안내문자 꼭 확인하세요.​ 

 

 

   ※5월부터 사릿물에도 출조 광어 + 우럭 병행출조합니다.


   ※가을 쭈갑낚시 평일예약은 4월1일부터 예약진행 일정표확인


      주말휴일 예약은 5월부터 예약진행 일정표확인하세요.


   ※빠른 조황정보는 "동산피싱" 밴드에서 확인 부탁합니다.

  

   ※출조일정 실시간 예약현황 예약등록가능  "클릭"

   

   ※예약문의 : 010-8771-5168 



1fc0c478f22af6d4e5fb830470848fe2_1776755

1fc0c478f22af6d4e5fb830470848fe2_1776755

1fc0c478f22af6d4e5fb830470848fe2_1776755

1fc0c478f22af6d4e5fb830470848fe2_1776755

1fc0c478f22af6d4e5fb830470848fe2_1776755

1fc0c478f22af6d4e5fb830470848fe2_1776755

1fc0c478f22af6d4e5fb830470848fe2_1776756

1fc0c478f22af6d4e5fb830470848fe2_1776756

1fc0c478f22af6d4e5fb830470848fe2_1776756

1fc0c478f22af6d4e5fb830470848fe2_1776756

1fc0c478f22af6d4e5fb830470848fe2_1776756

1fc0c478f22af6d4e5fb830470848fe2_1776756

1fc0c478f22af6d4e5fb830470848fe2_1776756

1fc0c478f22af6d4e5fb830470848fe2_1776756

1fc0c478f22af6d4e5fb830470848fe2_1776756

1fc0c478f22af6d4e5fb830470848fe2_1776756

1fc0c478f22af6d4e5fb830470848fe2_1776756

1fc0c478f22af6d4e5fb830470848fe2_1776756

     #선상낚시 #배낚시 #바다낚시 #낚시배

       #장고항선상낚시 #장고항배낚시 #장고항바다낚시 #장고항낚시배  

       #당진선상낚시 #당진배낚시 #당진바다낚시 #당진낚시배

       #우럭낚시 #서해우럭낚시 #개우럭 #참우럭 #조피볼락

       #서해선상낚시 #서해배낚시 #서해바다낚시 #서해낚시배

       #쭈꾸미낚시 #주꾸미낚시 #갑오징어낚시 #서해쭈꾸미낚시 #서해주꾸미낚시 

       #당진쭈꾸미낚시 #당진주꾸미낚시 #장고항쭈꾸미낚시 #장고항주꾸미낚시

       #광어 #다운샷 #광어다운샷 #대광어 #외수질 #산새우외수질 #농어 

       #농어외수질 #농어외수질낚시 #서해안선상낚시 #서해안배낚시​ 


댓글목록

등록된 댓글이 없습니다.