목록
작성일:26-04-15 01:25    조회:35회    댓글:0건
글 제 목

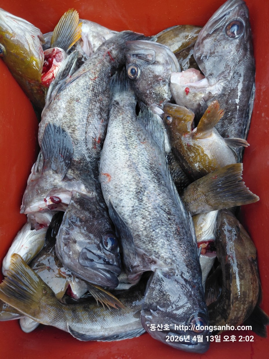
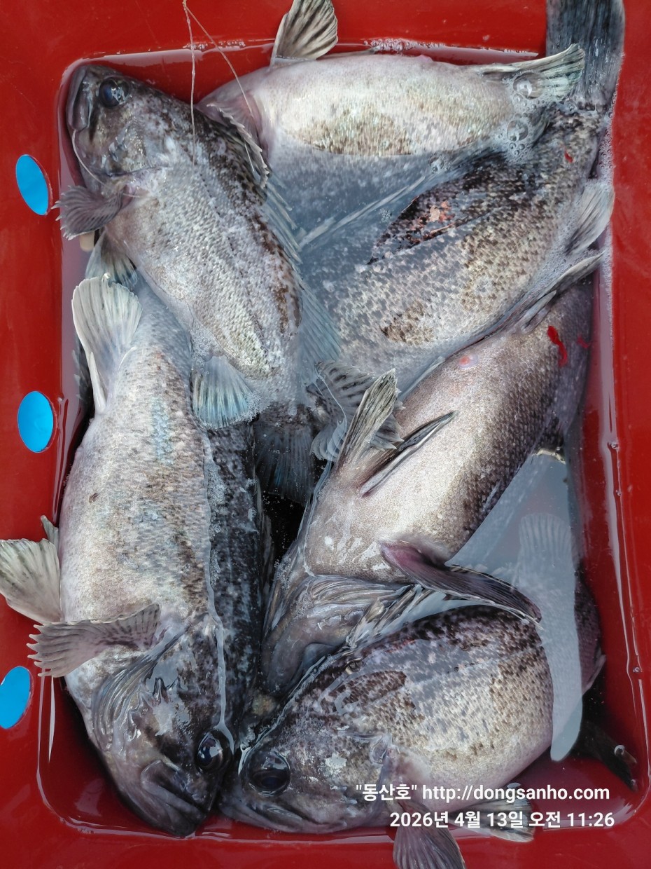
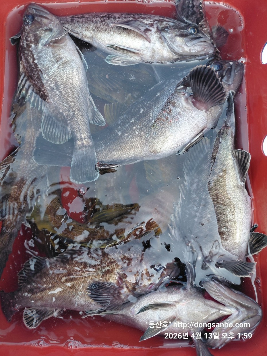
4/13 우럭낚시 조황

작 성 자 마도로스

본문

 



  ◇ 장고항 선상낚시 배낚시 바다낚시 낚시배 

 

        서해 동산피싱 "동산호" 우럭낚시 조황



    날짜 : 4/13


    날씨 : 맑음 (굿~날씨 장판)


    물때 : 2물


    성적 : 광어 우럭 노래미 볼락



    우럭낚시 4일째날


    간만에 날씨가 기똥차게좋네요.



    날씨가 도와주나요 오늘은 우럭입질이 조금 살아났네요.


    11시전에 씨알좋은 우럭들로 물통 꽉 채우신분도 나오네요.


    우럭낚시 초보분들도 80세가 넘으신 40년생 단골 어르신까지


    오늘은 모든분들이 두자리수 이상들하셨네요.



    찾아주신 모든분들 수고들하셨습니다.



    ☆ 출조전날 안내문자 꼭 확인하세요.



   ※5월부터 사릿물에도 출조 광어 + 우럭 병행출조합니다.


   ※가을 쭈갑낚시 평일예약은 4월1일부터 예약진행 일정표확인


      주말휴일 예약은 5월부터 예약진행 일정표확인하세요.


   ※빠른 조황정보는 "동산호" 밴드에서 확인 부탁합니다.

  

   ※출조일정 실시간 예약현황 예약등록가능  "클릭"

   

   ※예약문의 : 010-8771-5168 



aaa58d6d907bf5bb990691ec471ba77e_1776183

aaa58d6d907bf5bb990691ec471ba77e_1776183

aaa58d6d907bf5bb990691ec471ba77e_1776183

aaa58d6d907bf5bb990691ec471ba77e_1776183

aaa58d6d907bf5bb990691ec471ba77e_1776183

aaa58d6d907bf5bb990691ec471ba77e_1776183

aaa58d6d907bf5bb990691ec471ba77e_1776183

aaa58d6d907bf5bb990691ec471ba77e_1776183

aaa58d6d907bf5bb990691ec471ba77e_1776183

aaa58d6d907bf5bb990691ec471ba77e_1776183

aaa58d6d907bf5bb990691ec471ba77e_1776183

aaa58d6d907bf5bb990691ec471ba77e_1776183

aaa58d6d907bf5bb990691ec471ba77e_1776183

aaa58d6d907bf5bb990691ec471ba77e_1776183

aaa58d6d907bf5bb990691ec471ba77e_1776183

     #선상낚시 #배낚시 #바다낚시 #낚시배

       #장고항선상낚시 #장고항배낚시 #장고항바다낚시 #장고항낚시배  

       #당진선상낚시 #당진배낚시 #당진바다낚시 #당진낚시배

       #우럭낚시 #서해우럭낚시 #개우럭 #참우럭 #조피볼락

       #서해선상낚시 #서해배낚시 #서해바다낚시 #서해낚시배

       #쭈꾸미낚시 #주꾸미낚시 #갑오징어낚시 #서해쭈꾸미낚시 #서해주꾸미낚시 

       #당진쭈꾸미낚시 #당진주꾸미낚시 #장고항쭈꾸미낚시 #장고항주꾸미낚시

       #광어 #다운샷 #광어다운샷 #대광어 #외수질 #산새우외수질 #농어 

       #농어외수질 #농어외수질낚시 #서해안선상낚시 #서해안배낚시​ 

댓글목록

등록된 댓글이 없습니다.