목록
작성일:26-04-13 20:26    조회:36회    댓글:0건
글 제 목

4/10~12 내만권 우럭낚시 조황

작 성 자 마도로스

본문



    ◇ 장고항 선상낚시 배낚시 바다낚시 낚시배 

 

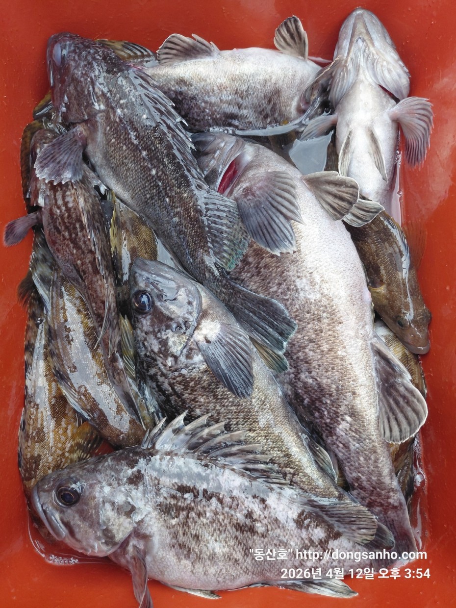
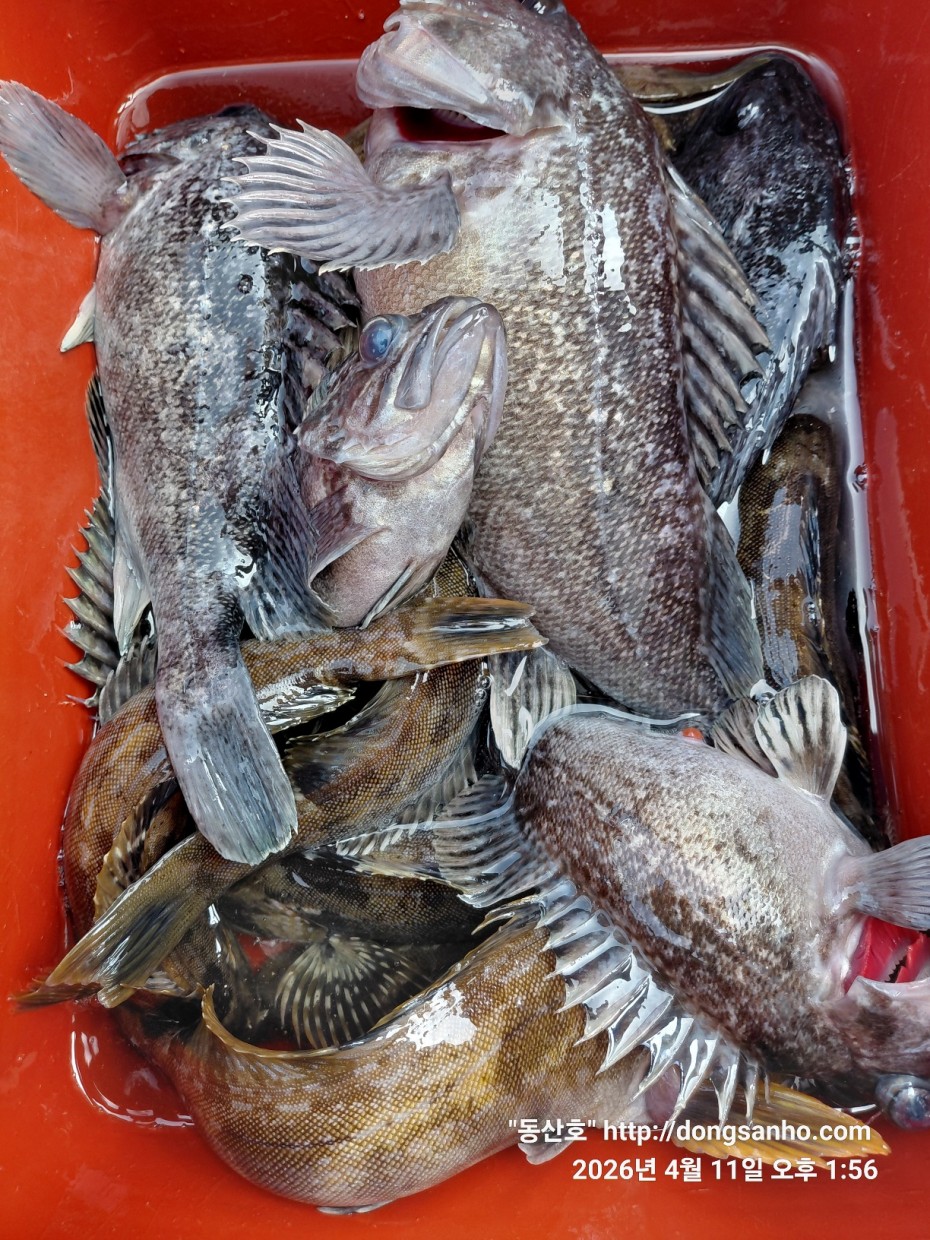
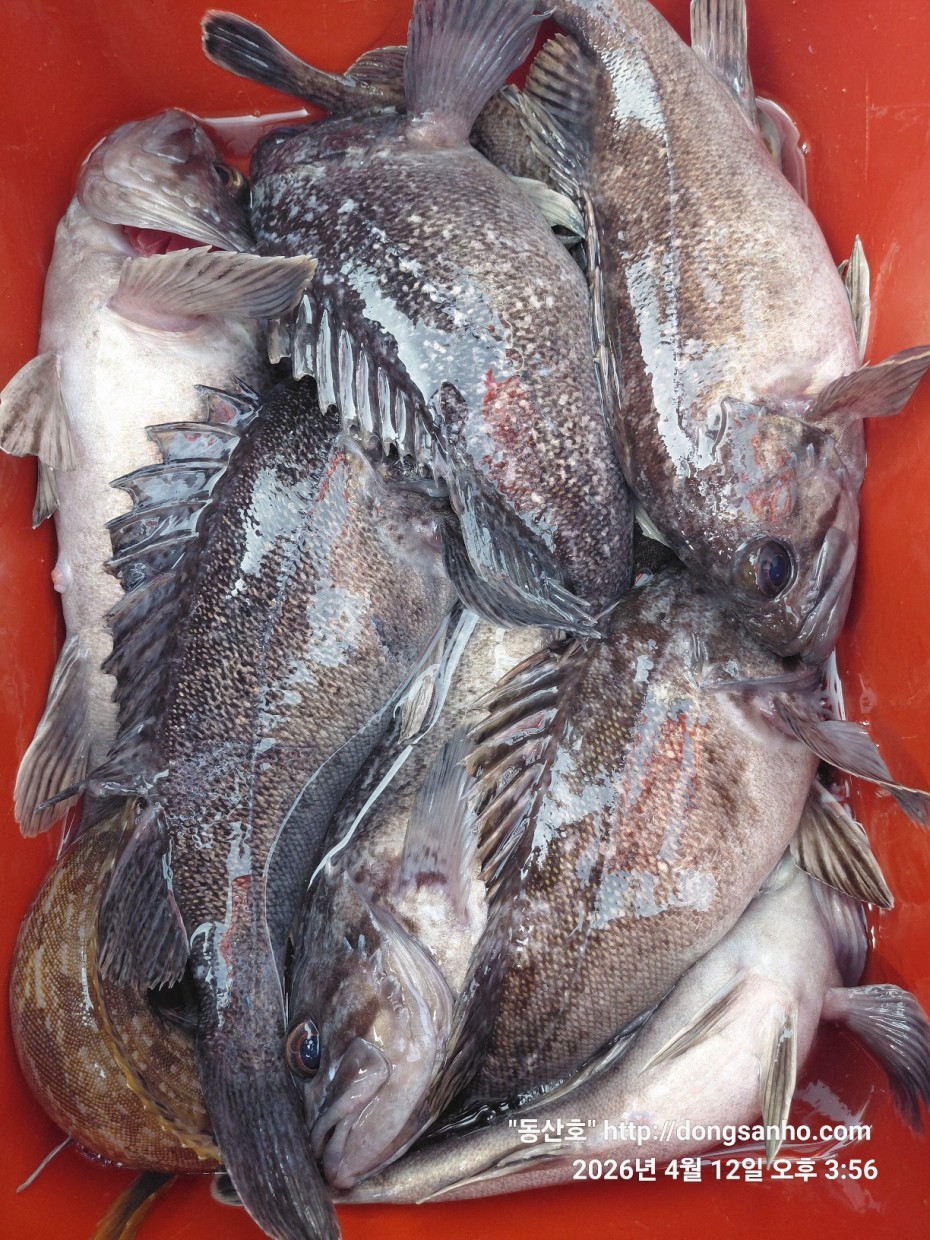
        서해 동산피싱 "동산호" 우럭낚시 조황



    날짜 : 4/10~12


    날씨 : 바람~해무


    물때 : 조금~1물


    성적 : 우럭 노래미 볼락 삼식이 



    4월 첫물때 시작부터 3일간 날씨가 엉망있네요


    첫째날 둘째날은 바람때문에 고생들하시고


    오늘은 해무때문에 10시에 출항 


    조용히들 끝까지 기다려주셔서 너무 감사했습니다.



    이번 물때부터는 수온도 어느정도 올라와주었는데도


    날씨때문인지 우럭들이 시원시원하게 물어주지않네요.


    다행히도 노래미는 잘 물어주어서 물통을 채우지만 고기들 


    반응이 어렵다보니 같은날에 30수이상부터 10수미만까지 


    많이 잡으신분 못잡은분 개인별 조황차이도 많이나네요.



    4월 시작부터 날씨도 고기들 반응들도 별루여서 하루하루 고비


    그래도 계속해서 더 열심히 찍어보겠습니다.



    찾아주신 모든분들 수고들하셨습니다.



    ☆ 출조전날 안내문자 꼭 확인하세요.



   ※5월부터 사릿물에도 출조 광어 + 우럭 병행출조합니다.


   ※가을 쭈갑낚시 평일예약은 4월1일부터 예약진행 일정표확인


      주말휴일 예약은 5월부터 예약진행 일정표확인하세요.


   ※빠른 조황정보는 "동산호" 밴드에서 확인 부탁합니다.

  

   ※출조일정 실시간 예약현황 예약등록가능  "클릭"

   

   ※예약문의 : 010-8771-5168 



9d7e713432b27d331db71d9540179483_1776079

9d7e713432b27d331db71d9540179483_1776079

9d7e713432b27d331db71d9540179483_1776079

9d7e713432b27d331db71d9540179483_1776079

9d7e713432b27d331db71d9540179483_1776079

9d7e713432b27d331db71d9540179483_1776079

9d7e713432b27d331db71d9540179483_1776079

9d7e713432b27d331db71d9540179483_1776079

9d7e713432b27d331db71d9540179483_1776079

9d7e713432b27d331db71d9540179483_1776079

9d7e713432b27d331db71d9540179483_1776079

9d7e713432b27d331db71d9540179483_1776079

9d7e713432b27d331db71d9540179483_1776079

     #선상낚시 #배낚시 #바다낚시 #낚시배

       #장고항선상낚시 #장고항배낚시 #장고항바다낚시 #장고항낚시배  

       #당진선상낚시 #당진배낚시 #당진바다낚시 #당진낚시배

       #우럭낚시 #서해우럭낚시 #개우럭 #참우럭 #조피볼락

       #서해선상낚시 #서해배낚시 #서해바다낚시 #서해낚시배

       #쭈꾸미낚시 #주꾸미낚시 #갑오징어낚시 #서해쭈꾸미낚시 #서해주꾸미낚시 

       #당진쭈꾸미낚시 #당진주꾸미낚시 #장고항쭈꾸미낚시 #장고항주꾸미낚시

       #광어 #다운샷 #광어다운샷 #대광어 #외수질 #산새우외수질 #농어 

       #농어외수질 #농어외수질낚시 #서해안선상낚시 #서해안배낚시​ 

댓글목록

등록된 댓글이 없습니다.