목록
작성일:26-04-01 07:23    조회:62회    댓글:0건
글 제 목

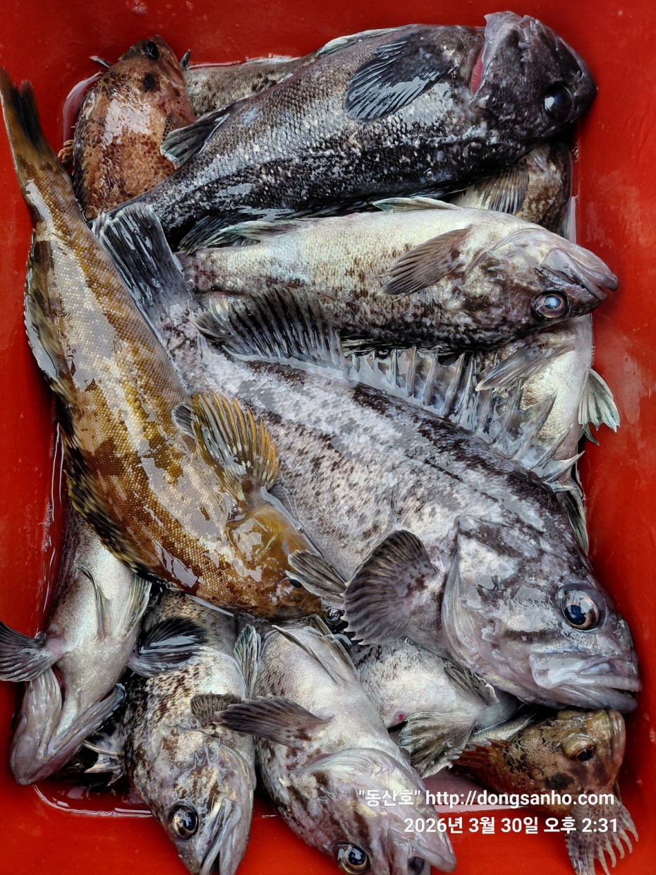
3/30 봄 우럭낚시 내만권 조황

작 성 자 마도로스

본문

 

 



  ◇ 장고항 선상낚시 배낚시 바다낚시 낚시배 

 

        서해 동산피싱 "동산호" 우럭낚시 조황



    날짜 : 3/30


    날씨 : 맑음 


    물때 : 3물


    성적 : 우럭 노래미 볼락



    3월 마지막주 이번물때 마무리 출조


    우럭낚시 5일째 마지막 마무리 조황입니다.



    수온도 조금씩 오르고 고기 입질도 조금씩 살아나고


    이번 물때에는 매일 해무만 없었으면 참좋은 날씨였는데 


    포인트 이동시 위험요소가 커서 더 많은곳을 찍어보지 못해


    좀 아쉬운점이 있네요.


    해무가 다행히도 어제 조금있었고 오늘은 해무가 없었네요.



    찾아주신 모든분들 수고들하셨습니다.



    ☆ 출조전날 안내문자 꼭 확인하세요.



    ※가을 쭈갑낚시 평일예약은 4월1일부터 예약진행 일정표확인

  

       주말휴일 예약은 5월부터 예약진행 일정표확인하세요.


    ※빠른 조황정보는 "동산피싱" 밴드에서 확인 부탁합니다.

 

    ※출조일정 실시간 예약현황 예약등록가능  "클릭"

 

    ※예약문의 : 010-8771-5168 



9c08d6fb01c348295dd68595fa57bd48_1774995

9c08d6fb01c348295dd68595fa57bd48_1774995

9c08d6fb01c348295dd68595fa57bd48_1774995

9c08d6fb01c348295dd68595fa57bd48_1774995

9c08d6fb01c348295dd68595fa57bd48_1774995

9c08d6fb01c348295dd68595fa57bd48_1774995

9c08d6fb01c348295dd68595fa57bd48_1774996


9c08d6fb01c348295dd68595fa57bd48_1774995

9c08d6fb01c348295dd68595fa57bd48_1774995

9c08d6fb01c348295dd68595fa57bd48_1774995

     #선상낚시 #배낚시 #바다낚시 #낚시배

       #장고항선상낚시 #장고항배낚시 #장고항바다낚시 #장고항낚시배  

       #당진선상낚시 #당진배낚시 #당진바다낚시 #당진낚시배

       #우럭낚시 #서해우럭낚시 #개우럭 #참우럭 #조피볼락

       #서해선상낚시 #서해배낚시 #서해바다낚시 #서해낚시배

       #쭈꾸미낚시 #주꾸미낚시 #갑오징어낚시 #서해쭈꾸미낚시 #서해주꾸미낚시 

       #당진쭈꾸미낚시 #당진주꾸미낚시 #장고항쭈꾸미낚시 #장고항주꾸미낚시

       #광어 #다운샷 #광어다운샷 #대광어 #외수질 #산새우외수질 #농어 

       #농어외수질 #농어외수질낚시 #서해안선상낚시 #서해안배낚시​ 

댓글목록

등록된 댓글이 없습니다.