목록
작성일:26-03-29 01:34    조회:58회    댓글:0건
글 제 목

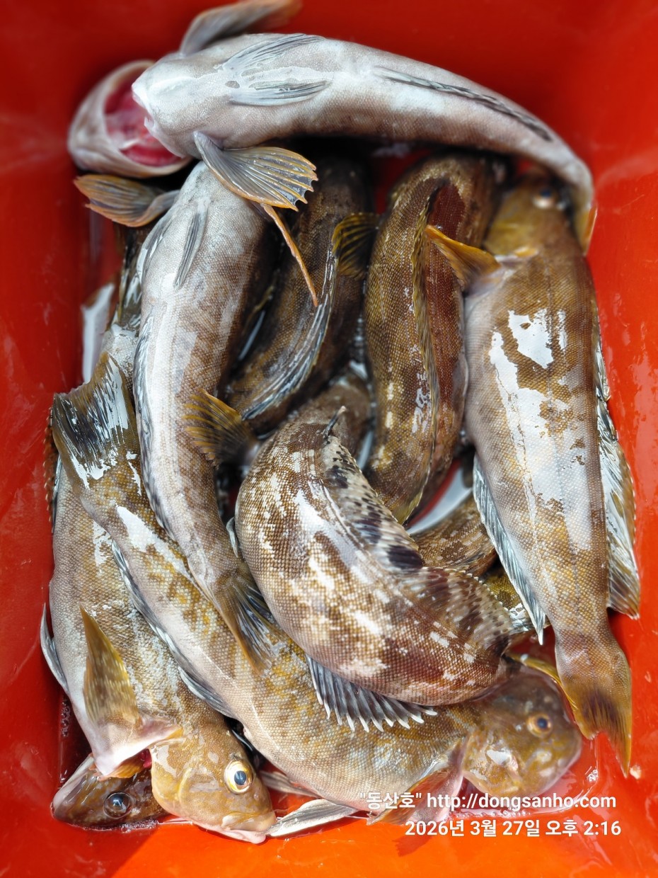
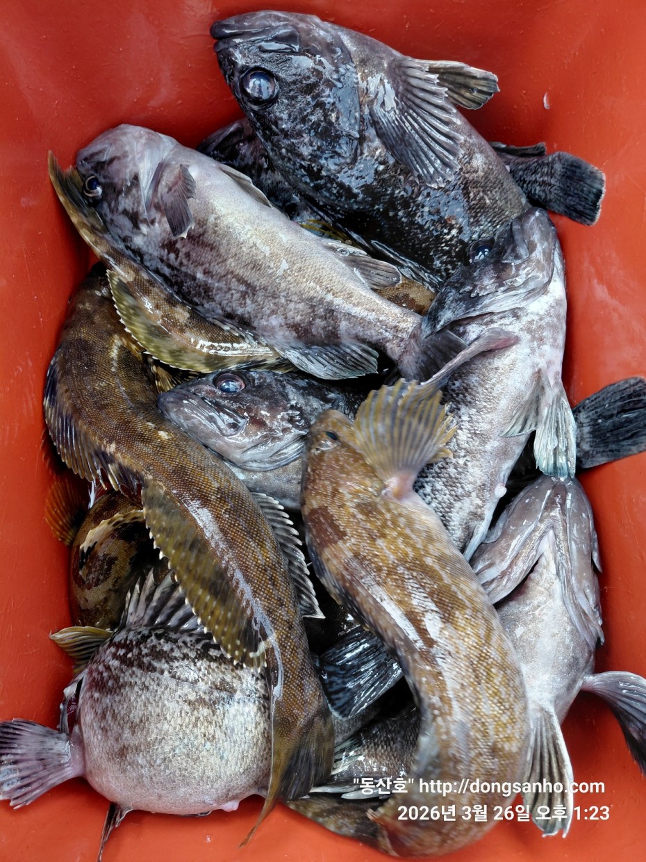
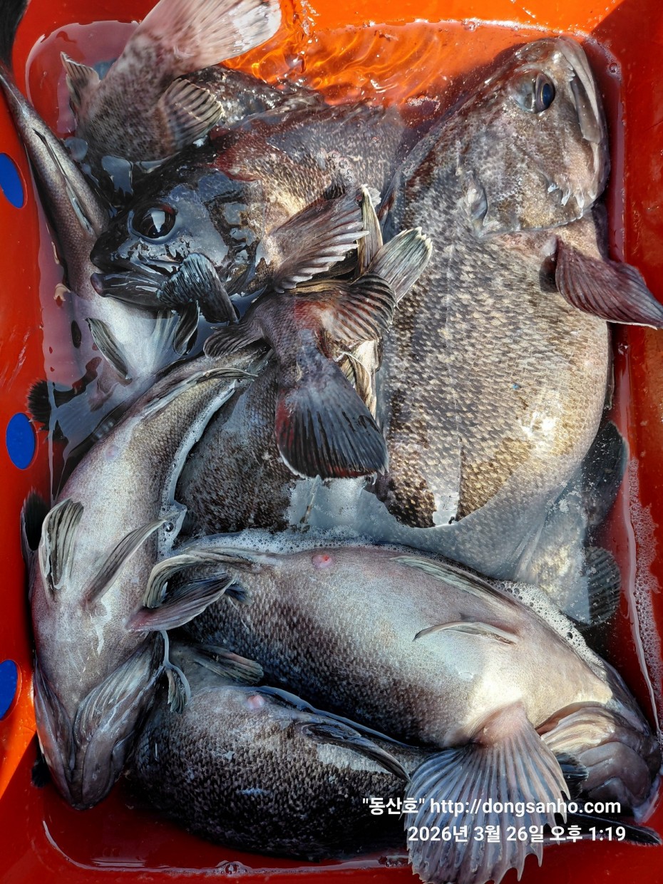
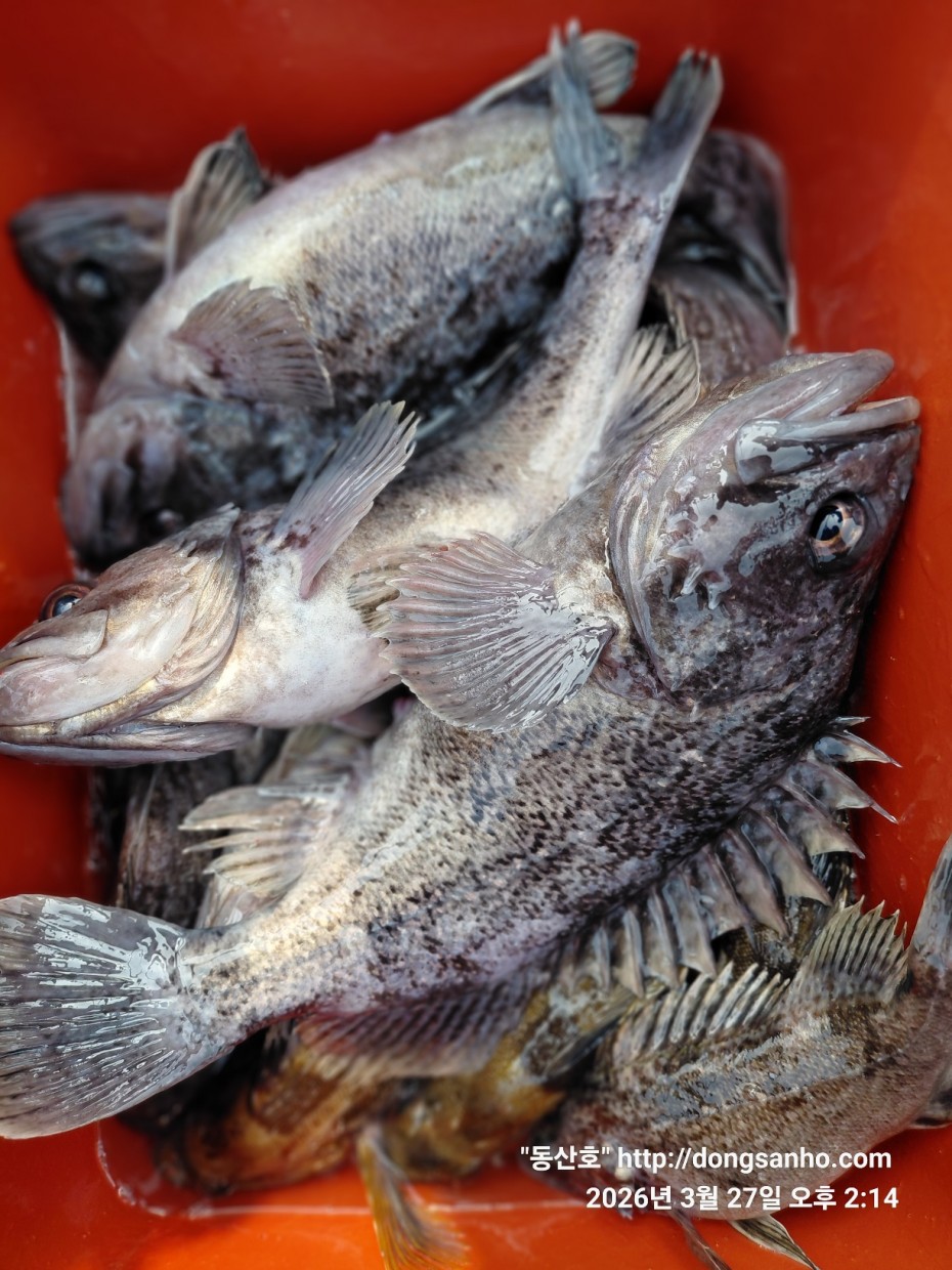
3/26~28 우럭낚시 통합조황

작 성 자 마도로스

본문



    ◇ 장고항 선상낚시 배낚시 바다낚시 낚시배 

 

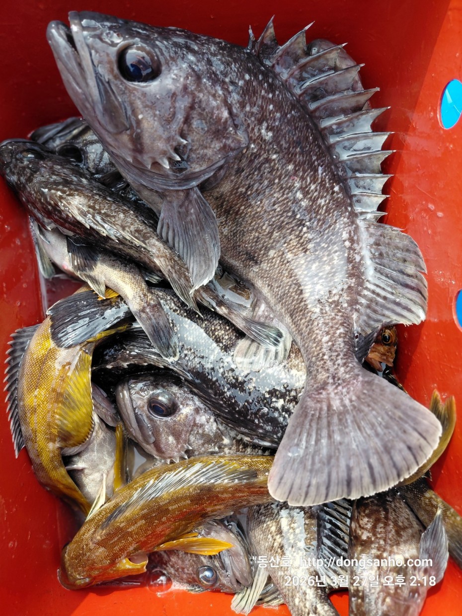
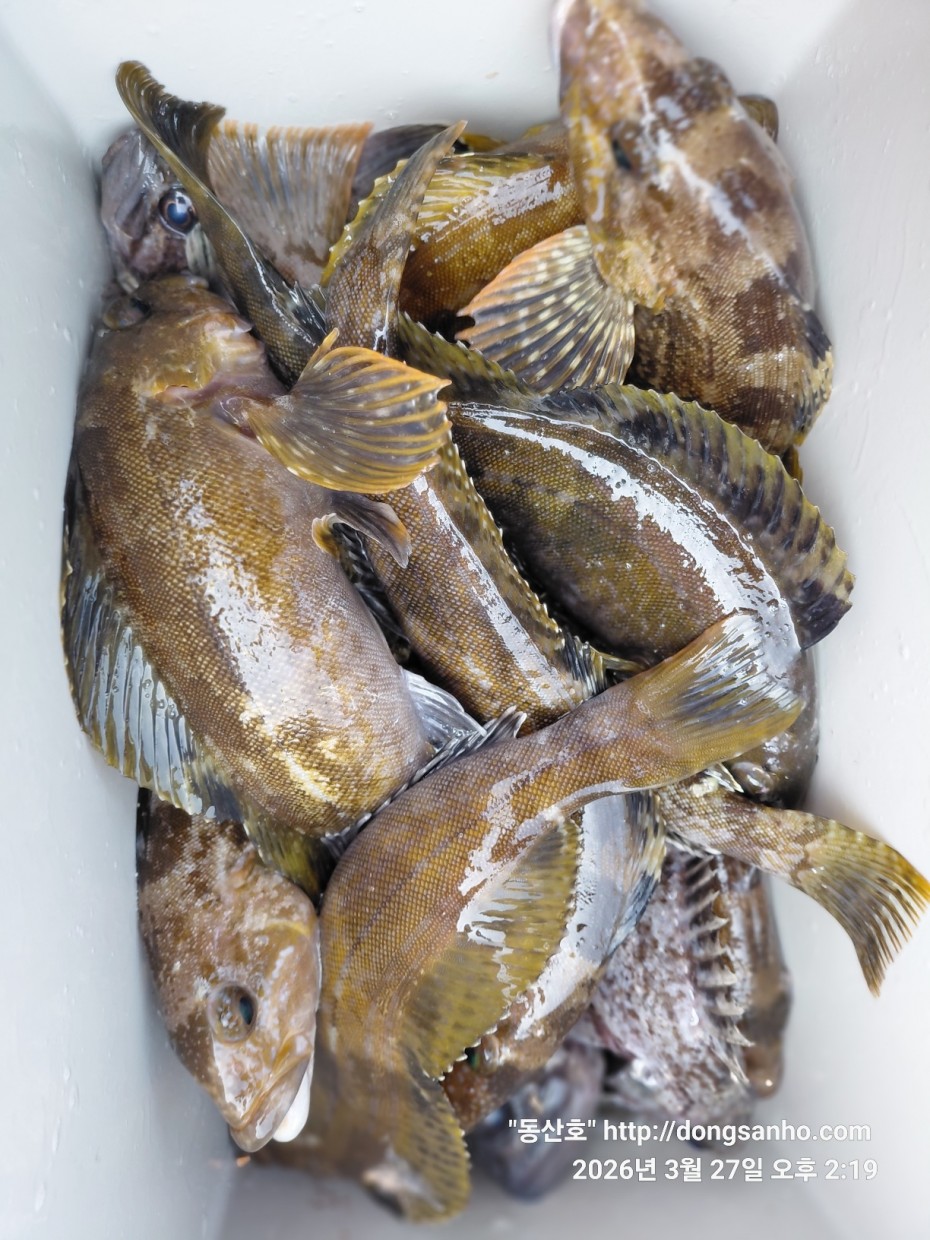
        서해 동산피싱 "동산호" 우럭낚시 조황



    날짜 : 3/26~28 (3일간)


    날씨 : 맑음 (매일매일 진한해무)


    물때 : 조금~1물


    성적 : 우럭 노래미 볼락



    3일간 몇장씩 통합으로 조황사진 참고만하세요.


    수온변동 8~9°C까지 많이 올랐네요.



    이번물때도 초보님도 많았지만 개인별 조황 차이가 많이나네요.


    활성도가 많이 올랐어도 우럭 노래미 입질이 찔끔찔끔


    우럭보다는 노래미 활성도가 조금 더 좋고 마리수도 좋네요.


    낮은 수온에 노래미 육질이 쫄낏쫄낏 회맛이 짱~^^



    찾아주신 모든분들 수고들하셨습니다.



    ☆요즘 진한해무로 출조하기가 매일매일 어렵네요.

 

        출조전날 안내문자 꼭확인하세요.



   ※가을 쭈갑낚시 평일예약은 4월1일부터 예약진행 일정표확인

 

       주말휴일 예약은 5월부터 예약진행 일정표확인하세요.

 

   ※빠른 조황정보는 "동산피싱" 밴드에서 확인 부탁합니다.

  

   ※출조일정 실시간 예약현황 예약등록가능  "클릭"

   

 

   ※예약문의 : 010-8771-5168



d8c7f3b9ea2ec2e451e3ae4da6047950_1774715

d8c7f3b9ea2ec2e451e3ae4da6047950_1774715

d8c7f3b9ea2ec2e451e3ae4da6047950_1774715

d8c7f3b9ea2ec2e451e3ae4da6047950_1774715

d8c7f3b9ea2ec2e451e3ae4da6047950_1774715

d8c7f3b9ea2ec2e451e3ae4da6047950_1774715

d8c7f3b9ea2ec2e451e3ae4da6047950_1774715

d8c7f3b9ea2ec2e451e3ae4da6047950_1774715

d8c7f3b9ea2ec2e451e3ae4da6047950_1774715

d8c7f3b9ea2ec2e451e3ae4da6047950_1774715

d8c7f3b9ea2ec2e451e3ae4da6047950_1774715

d8c7f3b9ea2ec2e451e3ae4da6047950_1774715

d8c7f3b9ea2ec2e451e3ae4da6047950_1774715

d8c7f3b9ea2ec2e451e3ae4da6047950_1774715

d8c7f3b9ea2ec2e451e3ae4da6047950_1774715

d8c7f3b9ea2ec2e451e3ae4da6047950_1774715

d8c7f3b9ea2ec2e451e3ae4da6047950_1774715

d8c7f3b9ea2ec2e451e3ae4da6047950_1774715

d8c7f3b9ea2ec2e451e3ae4da6047950_1774715

d8c7f3b9ea2ec2e451e3ae4da6047950_1774715

d8c7f3b9ea2ec2e451e3ae4da6047950_1774715

     #선상낚시 #배낚시 #바다낚시 #낚시배

       #장고항선상낚시 #장고항배낚시 #장고항바다낚시 #장고항낚시배  

       #당진선상낚시 #당진배낚시 #당진바다낚시 #당진낚시배

       #우럭낚시 #서해우럭낚시 #개우럭 #참우럭 #조피볼락

       #서해선상낚시 #서해배낚시 #서해바다낚시 #서해낚시배

       #쭈꾸미낚시 #주꾸미낚시 #갑오징어낚시 #서해쭈꾸미낚시 #서해주꾸미낚시 

       #당진쭈꾸미낚시 #당진주꾸미낚시 #장고항쭈꾸미낚시 #장고항주꾸미낚시

       #광어 #다운샷 #광어다운샷 #대광어 #외수질 #산새우외수질 #농어 

       #농어외수질 #농어외수질낚시 #서해안선상낚시 #서해안배낚시​  

댓글목록

등록된 댓글이 없습니다.