목록
작성일:26-03-15 09:08    조회:108회    댓글:0건
글 제 목

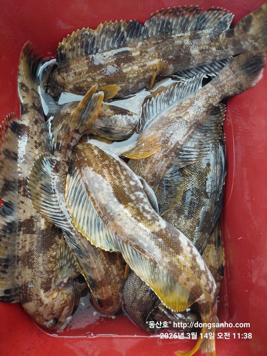
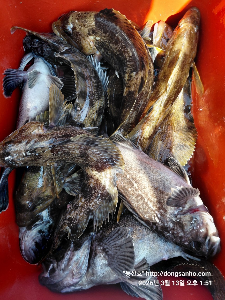
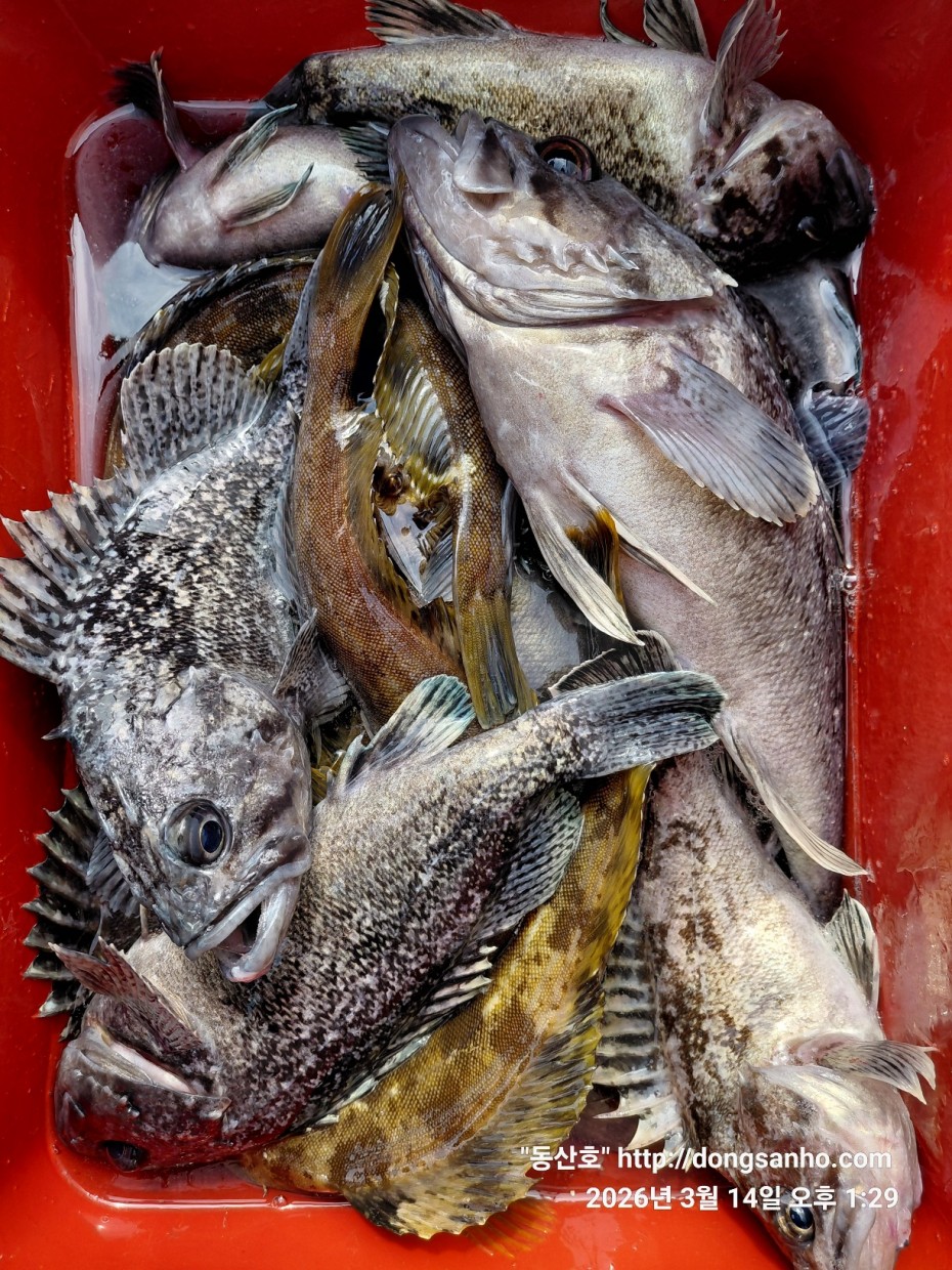
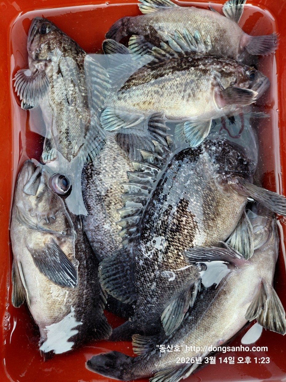
3/12~14 우럭낚시 통합조황

작 성 자 마도로스

본문




     ◇ 장고항 선상낚시 배낚시 바다낚시 낚시배 

      

         서해 바다낚시 "동산피싱" 우럭낚시 조황



    날짜 : 3/12~14 (3일간)


    날씨 : 맑음


    물때 : 무쉬~2물


    성적 : 우럭 노래미 볼락 삼식이 주꾸미



    3일간 몇장씩 통합으로 조황사진 참고만하세요.


    수온변동 1~2°C 올라서 현재 6~8°C 그래도 저수온기간



    이번주 물때도 2월말 지난 물때와 큰변동은 없네요.


    노래미가 조금 더 많이 보이기 시작한거 우럭 노래미 포함


    많이는 총30수이상도 있었지만 개인별 조황차이가 좀 있네요.


   다음 물때 일정은 수온이 더 오르는 3/25일부터 뵙겠습니다.



   추운 날씨에 모든분들 수고들하셨습니다.



    ※1~3월 저수온 영등철기간에는 물때 13~4물때 기상확인후

 

     가능하면 전화예약으로 진행합니다.


    ※빠른 조황정보는 "동산호피싱" 밴드에서 확인 부탁합니다.

 

    ※출조일정 실시간 예약현황 예약등록가능  "클릭"


    ※예약문의 : 010-8771-5168



8071bcb8f0a16b6f4969e02e5d1cab3c_1773532

8071bcb8f0a16b6f4969e02e5d1cab3c_1773532

8071bcb8f0a16b6f4969e02e5d1cab3c_1773532

8071bcb8f0a16b6f4969e02e5d1cab3c_1773532

8071bcb8f0a16b6f4969e02e5d1cab3c_1773532

8071bcb8f0a16b6f4969e02e5d1cab3c_1773532

8071bcb8f0a16b6f4969e02e5d1cab3c_1773532

8071bcb8f0a16b6f4969e02e5d1cab3c_1773532

8071bcb8f0a16b6f4969e02e5d1cab3c_1773533

8071bcb8f0a16b6f4969e02e5d1cab3c_1773533

8071bcb8f0a16b6f4969e02e5d1cab3c_1773533

8071bcb8f0a16b6f4969e02e5d1cab3c_1773533

8071bcb8f0a16b6f4969e02e5d1cab3c_1773533

8071bcb8f0a16b6f4969e02e5d1cab3c_1773533

8071bcb8f0a16b6f4969e02e5d1cab3c_1773533

8071bcb8f0a16b6f4969e02e5d1cab3c_1773533

8071bcb8f0a16b6f4969e02e5d1cab3c_1773533

8071bcb8f0a16b6f4969e02e5d1cab3c_1773533

8071bcb8f0a16b6f4969e02e5d1cab3c_1773533

     #선상낚시 #배낚시 #바다낚시 #낚시배

       #장고항선상낚시 #장고항배낚시 #장고항바다낚시 #장고항낚시배  

       #당진선상낚시 #당진배낚시 #당진바다낚시 #당진낚시배

       #우럭낚시 #서해우럭낚시 #개우럭 #참우럭 #조피볼락

       #서해선상낚시 #서해배낚시 #서해바다낚시 #서해낚시배

       #쭈꾸미낚시 #주꾸미낚시 #갑오징어낚시 #서해쭈꾸미낚시 #서해주꾸미낚시 

       #당진쭈꾸미낚시 #당진주꾸미낚시 #장고항쭈꾸미낚시 #장고항주꾸미낚시

       #광어 #다운샷 #광어다운샷 #대광어 #외수질 #산새우외수질 #농어 

       #농어외수질 #농어외수질낚시 #서해안선상낚시 #서해안배낚시​ 

 

​ 

댓글목록

등록된 댓글이 없습니다.