목록
작성일:26-03-15 00:10    조회:84회    댓글:0건
글 제 목

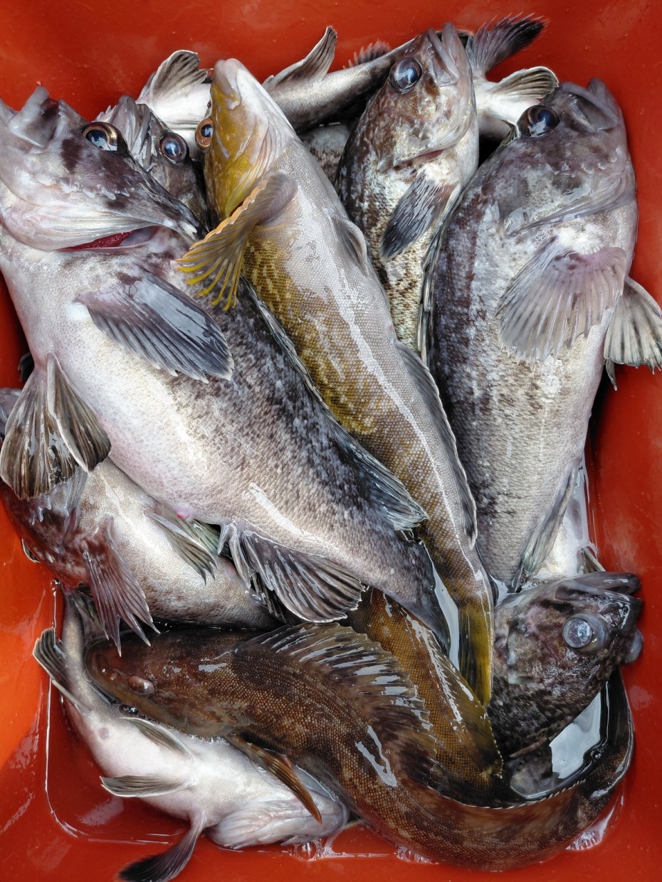
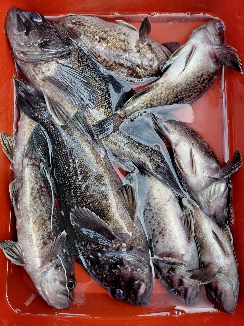
3/1 우럭낚시 저수온 조황

작 성 자 마도로스

본문

 


   ◇ 장고항 선상낚시 배낚시 바다낚시 낚시배 

 

        서해 동산피싱 "동산호" 우럭낚시 조황



    날짜 : 3월1일 (일요일)


    날씨 : 흐림


    물때 : 4물 


    성적 : 우럭 노래미 볼락 



    3일째 오늘도 마음을 비우고 콧바람 출조했습니다.


    수온변동없음 5°C전후 저수온기간



    저수온 약한입질 패턴을 파악하지 못하면 힘든기간


    출발전 말씀드리죠.


    일단 입질이오면 무조건 참고 기다리고 기다리고 기다리고 


    물고기가 안물고 그냥 가더라도 또 참아야 참아야합니다.


    3일간 낚시를 진행했는데 역시나 낚시를 많이했어도


    영등철기간은 저도 손님도 많이 어렵네요.



    오늘 하루도 수고들하셨습니다.


    

    ※1~월 저수온 영등철기간에는 물때 13~4물때 기상확인후

 

     가능하면 전화예약으로 진행합니다.


    ※빠른 조황정보는 "동산호" 밴드에서 확인 부탁합니다.

 

    ※출조일정 실시간 예약현황 예약등록가능  "클릭"


    ※예약문의 : 010-8771-5168 



0f371ac289857bbc3096a6317423651f_1773500

0f371ac289857bbc3096a6317423651f_1773500

0f371ac289857bbc3096a6317423651f_1773500

0f371ac289857bbc3096a6317423651f_1773500

0f371ac289857bbc3096a6317423651f_1773500

0f371ac289857bbc3096a6317423651f_1773500

0f371ac289857bbc3096a6317423651f_1773500

0f371ac289857bbc3096a6317423651f_1773501

0f371ac289857bbc3096a6317423651f_1773501

0f371ac289857bbc3096a6317423651f_1773501

     #선상낚시 #배낚시 #바다낚시 #낚시배

       #장고항선상낚시 #장고항배낚시 #장고항바다낚시 #장고항낚시배  

       #당진선상낚시 #당진배낚시 #당진바다낚시 #당진낚시배

       #우럭낚시 #서해우럭낚시 #개우럭 #참우럭 #조피볼락

       #서해선상낚시 #서해배낚시 #서해바다낚시 #서해낚시배

       #쭈꾸미낚시 #주꾸미낚시 #갑오징어낚시 #서해쭈꾸미낚시 #서해주꾸미낚시 

       #당진쭈꾸미낚시 #당진주꾸미낚시 #장고항쭈꾸미낚시 #장고항주꾸미낚시

       #광어 #다운샷 #광어다운샷 #대광어 #외수질 #산새우외수질 #농어 

       #농어외수질 #농어외수질낚시 #서해안선상낚시 #서해안배낚시​ 

댓글목록

등록된 댓글이 없습니다.