목록
작성일:26-03-10 05:52    조회:93회    댓글:0건
글 제 목

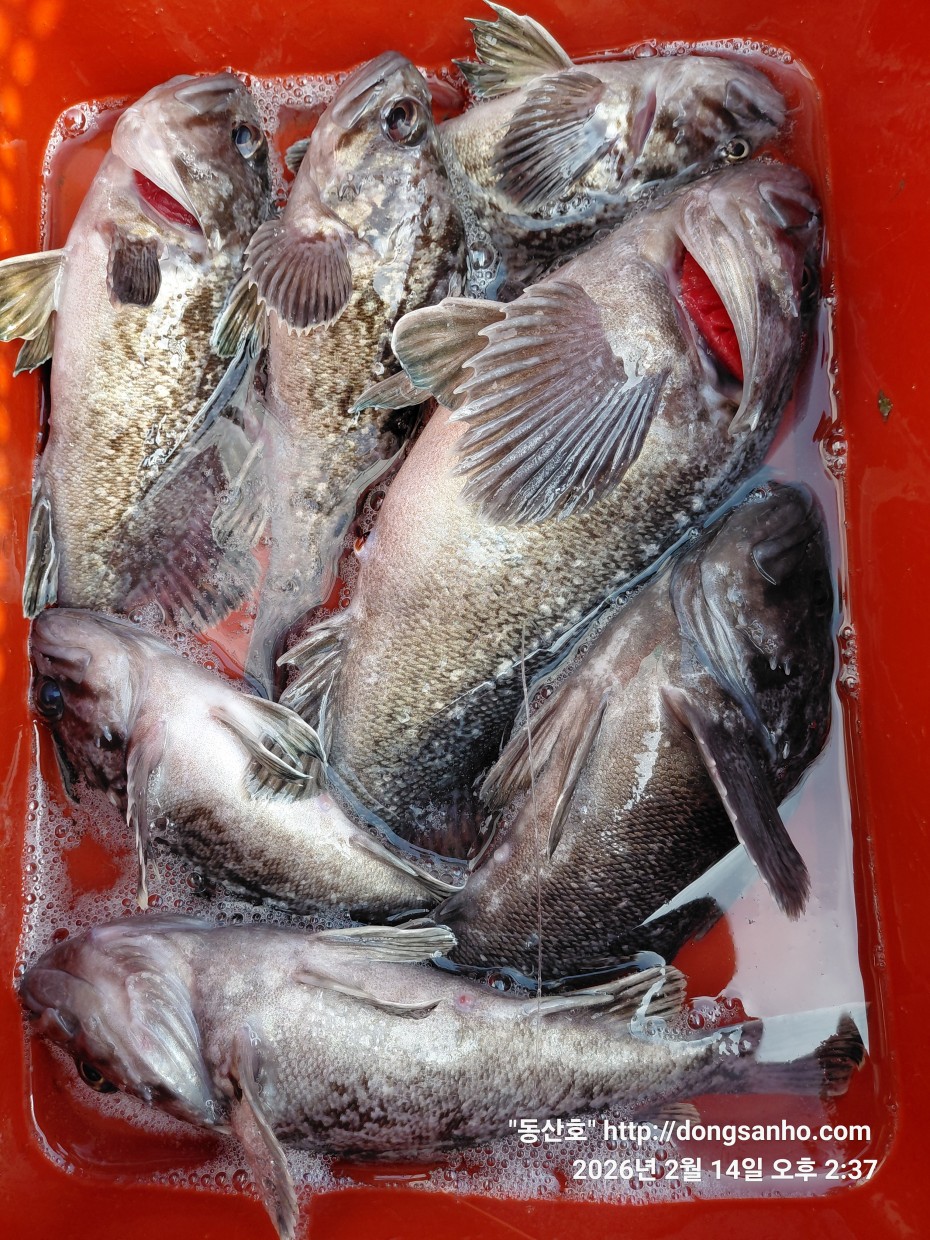
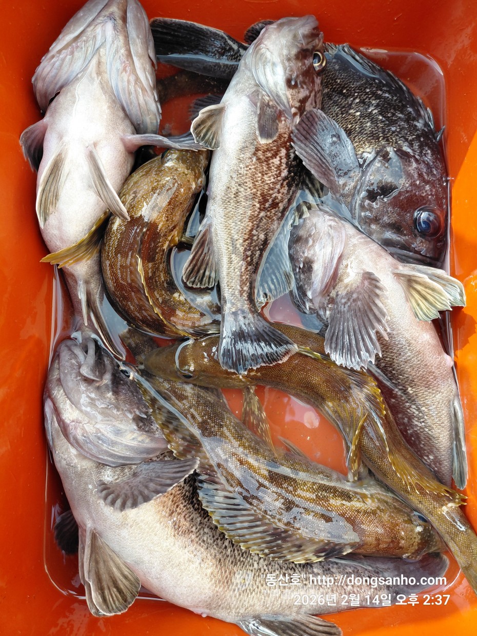
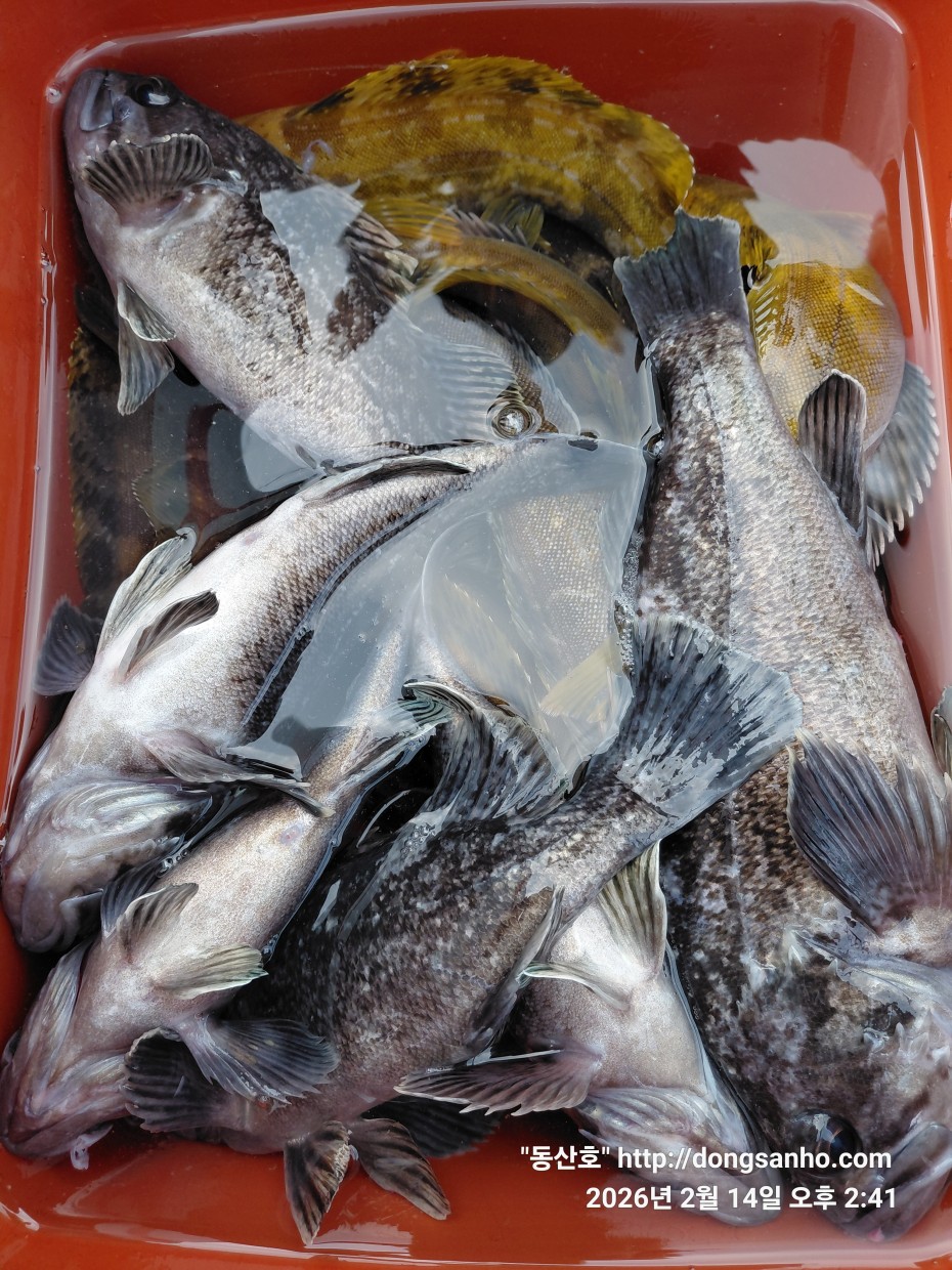
2/14 저수온 우럭낚시 조황

작 성 자 마도로스

본문



    ◇ 장고항 선상낚시 배낚시 바다낚시 낚시배 

 

       서해 동산피싱 "동산호" 우럭낚시 조황



    날짜 : 2월14일 (토요일)


    날씨 : 흐림 (옅은 해무)


    물때 : 3물 


    성적 : 우럭 노래미 볼락 



    1월 2월 기상이 계속 안좋아서 몇일 출조을 못했네요.


    오늘은 다행히도 기상이 허락해주어서 바다에 다녀왔습니다.



    저수온기간 마리수 조황을 기대하기보다는 콧바람 맞으러 출조


    오늘 우럭보다는 노래미가 좀 물어 주어서 잘해주신분들은 


    20수이상 그외분들는 10수전후들하셨네요.



    오늘 하루도 수고들하셨습니다.



    ♡즐거운 설명절 잘들보내시고 따뜻해지면 바다에서 뵙겠습니다.


        모든분 올해에도 어복이충만하시고 행복하세요~♡♡



    ※1월 2월 저수온 영등철기간에는 물때 13~4물때 기상확인후

 

     가능하면 전화예약으로 진행합니다.


    ※빠른 조황정보는 "동산호" 밴드에서 확인 부탁합니다.

 

    ※출조일정 실시간 예약현황 예약등록가능  "클릭"


    ※예약문의 : 010-8771-5168 


be9d0e18f39ad6e5583c32dbec4840cc_1773089

be9d0e18f39ad6e5583c32dbec4840cc_1773089

be9d0e18f39ad6e5583c32dbec4840cc_1773089

be9d0e18f39ad6e5583c32dbec4840cc_1773089

be9d0e18f39ad6e5583c32dbec4840cc_1773089

be9d0e18f39ad6e5583c32dbec4840cc_1773089

be9d0e18f39ad6e5583c32dbec4840cc_1773089

be9d0e18f39ad6e5583c32dbec4840cc_1773089

be9d0e18f39ad6e5583c32dbec4840cc_1773089

     #선상낚시 #배낚시 #바다낚시 #낚시배

       #장고항선상낚시 #장고항배낚시 #장고항바다낚시 #장고항낚시배  

       #당진선상낚시 #당진배낚시 #당진바다낚시 #당진낚시배

       #우럭낚시 #서해우럭낚시 #개우럭 #참우럭 #조피볼락

       #서해선상낚시 #서해배낚시 #서해바다낚시 #서해낚시배

       #쭈꾸미낚시 #주꾸미낚시 #갑오징어낚시 #서해쭈꾸미낚시 #서해주꾸미낚시 

       #당진쭈꾸미낚시 #당진주꾸미낚시 #장고항쭈꾸미낚시 #장고항주꾸미낚시

       #광어 #다운샷 #광어다운샷 #대광어 #외수질 #산새우외수질 #농어 

       #농어외수질 #농어외수질낚시 #서해안선상낚시 #서해안배낚시​ 

댓글목록

등록된 댓글이 없습니다.