목록
작성일:25-05-07 00:49    조회:538회    댓글:0건
글 제 목

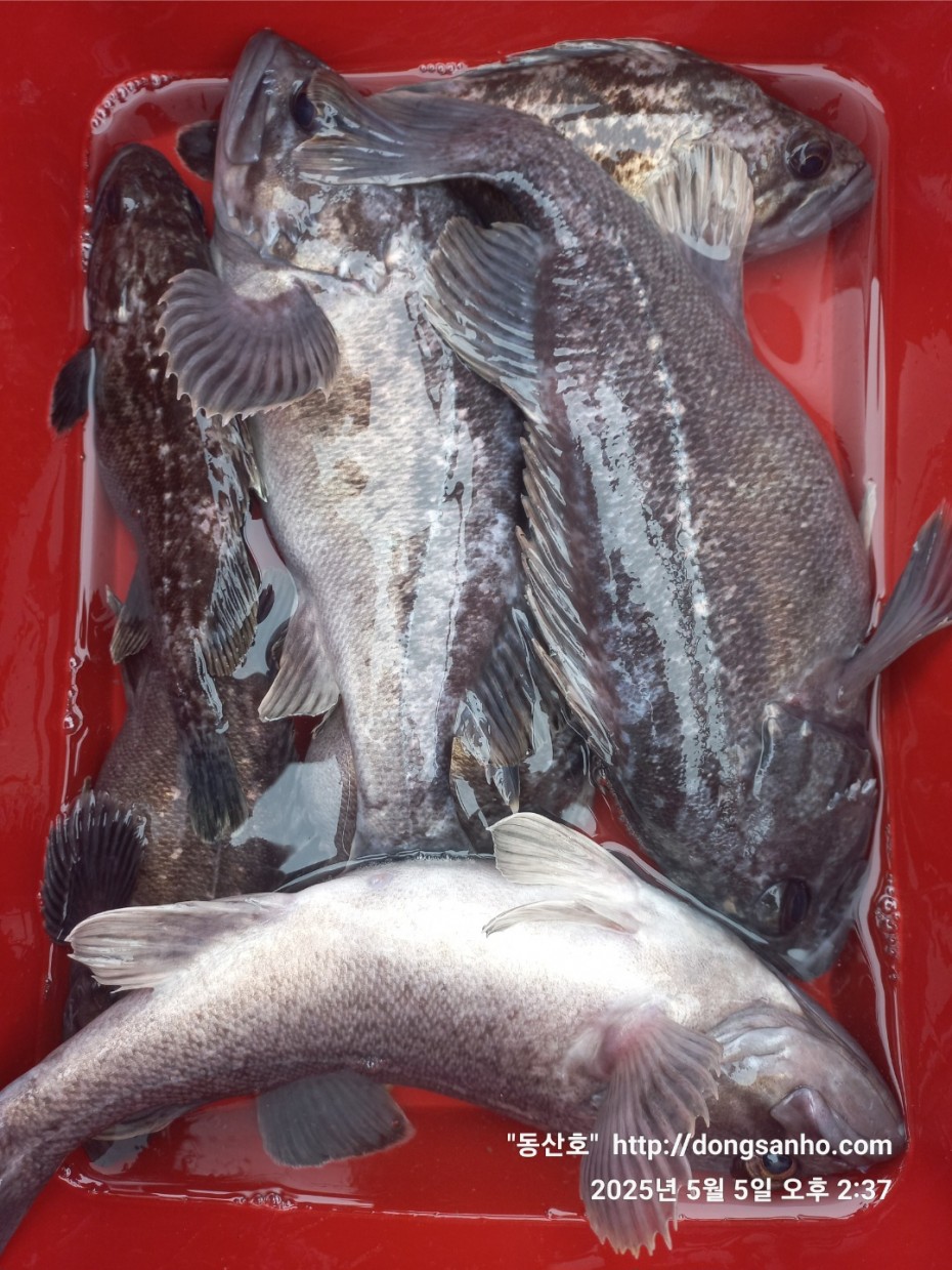
5/5 우럭낚시 내만권 조황

작 성 자 마도로스

본문

   

◇ 서해선상낚시 배낚시 바다낚시 배낚시 


        내만권 우럭낚시 조황



   날짜 : 5월5일 (월요일)


   날씨 : 흐림


   물때 : 조금


   성적 : 우럭 노래미 볼락 삼식이 



   우럭낚시 개인출조 다녀왔습니다.



   5월 시작부터 몇일 날씨가 비가 오거나 아님 바람불고ㅠㅠ


   오늘 여성 조사님들이 많이 오셨는데 다행히도 날씨가 좋네요.



   오늘은 똥침 포인트낚시로 열심히 돌아서 우럭 빵빵한 놈들로


   많이 잡아서 물통 채위서 드렸네요.



   오늘 하루도 수고들하셨습니다. 



   ※4물이상 물있는날은 다잡아 광어 우럭 병행출조합니다.


   ※가을 쭈꾸미 갑오징어 먹물낚시 사전예약 진행중입니다.


   ※출조일정 실시간 예약현황 예약등록가능  "클릭"


   ※예약문의 : 010-8771-5168 


3f9e3bca21baf8f4e7b48181372e938c_1746546

3f9e3bca21baf8f4e7b48181372e938c_1746546

3f9e3bca21baf8f4e7b48181372e938c_1746546

3f9e3bca21baf8f4e7b48181372e938c_1746546

3f9e3bca21baf8f4e7b48181372e938c_1746546

3f9e3bca21baf8f4e7b48181372e938c_1746546

3f9e3bca21baf8f4e7b48181372e938c_1746546

3f9e3bca21baf8f4e7b48181372e938c_1746546

3f9e3bca21baf8f4e7b48181372e938c_1746546

3f9e3bca21baf8f4e7b48181372e938c_1746546

3f9e3bca21baf8f4e7b48181372e938c_1746546

3f9e3bca21baf8f4e7b48181372e938c_1746546

3f9e3bca21baf8f4e7b48181372e938c_1746546

3f9e3bca21baf8f4e7b48181372e938c_1746546

3f9e3bca21baf8f4e7b48181372e938c_1746546

3f9e3bca21baf8f4e7b48181372e938c_1746546

3f9e3bca21baf8f4e7b48181372e938c_1746546

3f9e3bca21baf8f4e7b48181372e938c_1746546


       #선상낚시 #배낚시 #바다낚시 #낚시배

       #장고항선상낚시 #장고항배낚시 #장고항바다낚시 #장고항낚시배  

       #당진선상낚시 #당진배낚시 #당진바다낚시 #당진낚시배

       #우럭낚시 #서해우럭낚시 #개우럭 #참우럭 #조피볼락

       #서해선상낚시 #서해배낚시 #서해바다낚시 #서해낚시배

       #쭈꾸미낚시 #주꾸미낚시 #갑오징어낚시 #서해쭈꾸미낚시 #서해주꾸미낚시 

       #당진쭈꾸미낚시 #당진주꾸미낚시 #장고항쭈꾸미낚시 #장고항주꾸미낚시

       #광어 #다운샷 #광어다운샷 #대광어 #외수질 #산새우외수질 #농어 

       #농어외수질 #농어외수질낚시 #서해안선상낚시 #서해안배낚시  

댓글목록

등록된 댓글이 없습니다.