목록
작성일:24-12-27 16:03    조회:992회    댓글:0건
글 제 목

12/11 우럭낚시 대박 만만쿨~ 조황

작 성 자 마도로스

본문

 

   

   ◇ 서해선상낚시 배낚시 바다낚시 배낚시 


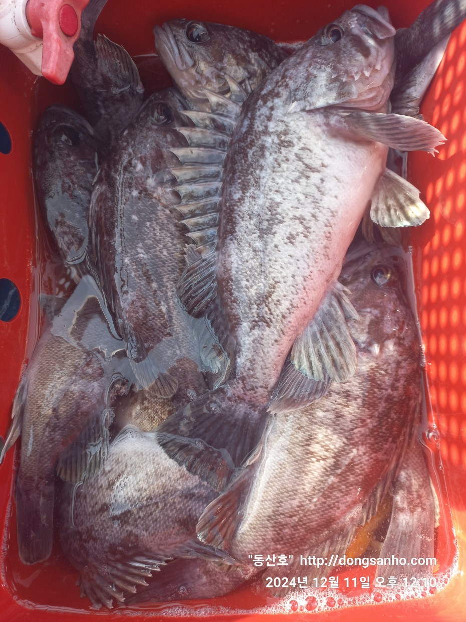
        우럭낚시 조황



   날짜 : 12월11일


   날씨 : 맑음 (바람이 살짝쿵~)


   물때 : 2물


   성적 : 광어 우럭 볼락 



   기분좋게 개인출조 전인원이 단골분들로 우럭낚시 오셨네요.



   단골분들 우럭낚시 방송에 잘따라주시분들이어서 힘들지만 오늘은


   우럭 전투낚시로 진행해봤네요.



   역시 우럭 쌍걸이부터 쓰리걸이 돼지우럭까지 잘뽑아 올려주시네요.


   오늘 씨알도좋고 마리수도 잘나오니 오전에 만쿨조황으로 끝~^^


   대박조황으로 선장도 조사님들도 재미있는 하루였네요.



   오늘 하루도 고생들하셨습니다. 



   ☆다음 우럭출조 황금물때 12/20~12/29


       (저수온진입 마음을 비우시고 예약하세요)



   ※1~2월 쭈욱~ 우럭출조 예약진행합니다.


   ※1~2월 저수온 영등철에는 마음을 비우고 예약하세요.


   ※출조일정 실시간 예약현황 예약등록가능  "클릭"

 

   ※예약문의 : 010-8771-516 

 


83338653ae0c5b8fbf7799c4272ad65a_1735282

83338653ae0c5b8fbf7799c4272ad65a_1735282

83338653ae0c5b8fbf7799c4272ad65a_1735282

83338653ae0c5b8fbf7799c4272ad65a_1735282

83338653ae0c5b8fbf7799c4272ad65a_1735282

83338653ae0c5b8fbf7799c4272ad65a_1735282

83338653ae0c5b8fbf7799c4272ad65a_1735282

83338653ae0c5b8fbf7799c4272ad65a_1735283

83338653ae0c5b8fbf7799c4272ad65a_1735283

83338653ae0c5b8fbf7799c4272ad65a_1735283

83338653ae0c5b8fbf7799c4272ad65a_1735283

83338653ae0c5b8fbf7799c4272ad65a_1735283

83338653ae0c5b8fbf7799c4272ad65a_1735283

83338653ae0c5b8fbf7799c4272ad65a_1735283

83338653ae0c5b8fbf7799c4272ad65a_1735283

83338653ae0c5b8fbf7799c4272ad65a_1735284

83338653ae0c5b8fbf7799c4272ad65a_1735284

83338653ae0c5b8fbf7799c4272ad65a_1735284

83338653ae0c5b8fbf7799c4272ad65a_1735284

83338653ae0c5b8fbf7799c4272ad65a_1735284

83338653ae0c5b8fbf7799c4272ad65a_1735284

83338653ae0c5b8fbf7799c4272ad65a_1735284

83338653ae0c5b8fbf7799c4272ad65a_1735284

83338653ae0c5b8fbf7799c4272ad65a_1735284

83338653ae0c5b8fbf7799c4272ad65a_1735284

83338653ae0c5b8fbf7799c4272ad65a_1735284

       #선상낚시 #배낚시 #바다낚시 #낚시배

       #장고항선상낚시 #장고항배낚시 #장고항바다낚시 #장고항낚시배  

       #당진선상낚시 #당진배낚시 #당진바다낚시 #당진낚시배

       #우럭낚시 #서해우럭낚시 #개우럭 #참우럭 #조피볼락

       #서해선상낚시 #서해배낚시 #서해바다낚시 #서해낚시배

       #쭈꾸미낚시 #주꾸미낚시 #갑오징어낚시 #서해쭈꾸미낚시 #서해주꾸미낚시 

       #당진쭈꾸미낚시 #당진주꾸미낚시 #장고항쭈꾸미낚시 #장고항주꾸미낚시

       #광어 #다운샷 #광어다운샷 #대광어 #외수질 #산새우외수질 #농어 

       #농어외수질 #농어외수질낚시 #서해안선상낚시 #서해안배낚시  

댓글목록

등록된 댓글이 없습니다.