목록
작성일:24-04-05 00:06    조회:861회    댓글:0건
글 제 목

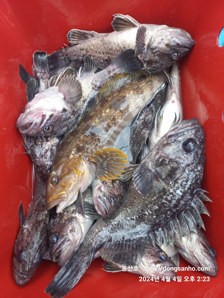
4/4 우럭낚시 조황

작 성 자 마도로스

본문

   


   ◇ 서해선상낚시 우럭킬러 동산호입니다



   날짜 : 4월4일


   날씨 : 맑음(장판)


   물때 : 2물


   성적 : 우럭 노래미 볼락 



   오늘은  7명 모시고 우럭 다녀왔습니다 



   어제 비 다행히도 수온은 내려가지 않았서 입질은 괜찮았는데 낚시 중간중간 방생한 


   고기가 상당히 많은 하루였네요


   그래도 간간히 좋은 우럭 나오고 노래미 마리수도 많았구요


   팔뚝 노래미가 옆구리에 걸릴정도로 많은 하루였네요



   오전에 두분은 만쿨로 점심 식사후 낚시접고 고기 손질만 하시다 가셨네요



   오늘 하루도 수고들하셨습니다 ​ 

 

 

     #장고항선상낚시 #장고항배낚시 #장고항바다낚시

       #당진선상낚시 #당진배낚시 #당진바다낚시 #당진낚시배

       #우럭낚시 #서해우럭낚시 #개우럭 #참우럭 #조피볼락

       #서해선상낚시 #서해배낚시 #서해바다낚시 #서해낚시배

댓글목록

등록된 댓글이 없습니다.