작성일:22-11-19 02:44 조회:1,288회 댓글:0건
| 글 제 목 | 11/17 우럭 만쿨 굿~ 조황 |
|---|---|
| 작 성 자 | 마도로스 |
관련링크
본문
우럭낚시 출조
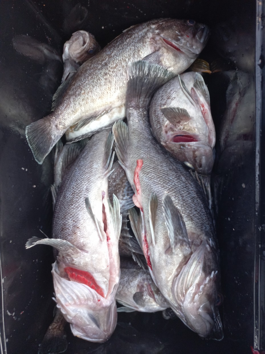
날짜 : 11월17일
날씨 : 따뜻 좋아요~
물때 : 무시
성적 : 광어 우럭....
평일 개인 우럭출조 다녀왔습니다
날씨도 좋고 우럭낚시 좋은 물때 기간이다보니
밖으로 좀나가서 높은 어초 위주로 낚시했습니다
오늘 우럭들 빵도 좋고 마리수도 흡족하게 나왔네요
점심전에 하루 조황 오버하시분들이 계시다보니
우럭낚시를 조업 수준으로 아주 많이 잡은분들 있고
조금 많이 잡은분 그냥 많이 잡은분 개인별 조황 변차는
조금있지만 그래도 전체 만쿨들 하셨네요
오늘도 수고들 하셨읍니다
♡농어 광어낚시는 11월말까지 도전합니다
※11월 네째주 21~27일 외수질/우럭낚시 출조
28일부터 12월 1월 2월 쭈욱~ 우럭낚시출조
예약문의
선장 : 010-8771-5168
날짜 : 11월17일
날씨 : 따뜻 좋아요~
물때 : 무시
성적 : 광어 우럭....
평일 개인 우럭출조 다녀왔습니다
날씨도 좋고 우럭낚시 좋은 물때 기간이다보니
밖으로 좀나가서 높은 어초 위주로 낚시했습니다
오늘 우럭들 빵도 좋고 마리수도 흡족하게 나왔네요
점심전에 하루 조황 오버하시분들이 계시다보니
우럭낚시를 조업 수준으로 아주 많이 잡은분들 있고
조금 많이 잡은분 그냥 많이 잡은분 개인별 조황 변차는
조금있지만 그래도 전체 만쿨들 하셨네요
오늘도 수고들 하셨읍니다
♡농어 광어낚시는 11월말까지 도전합니다
※11월 네째주 21~27일 외수질/우럭낚시 출조
28일부터 12월 1월 2월 쭈욱~ 우럭낚시출조
예약문의
선장 : 010-8771-5168
댓글목록
등록된 댓글이 없습니다.