목록
작성일:25-11-13 02:31    조회:108회    댓글:0건
글 제 목

11/12 우럭낚시 만쿨 굿~ 조황

작 성 자 마도로스

본문

 



  ◇ 장고항 선상낚시 배낚시 바다낚시 낚시배 

    

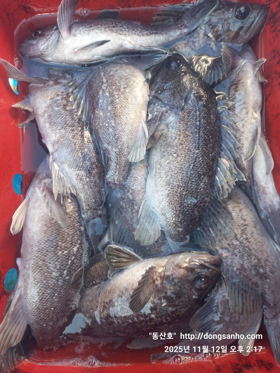
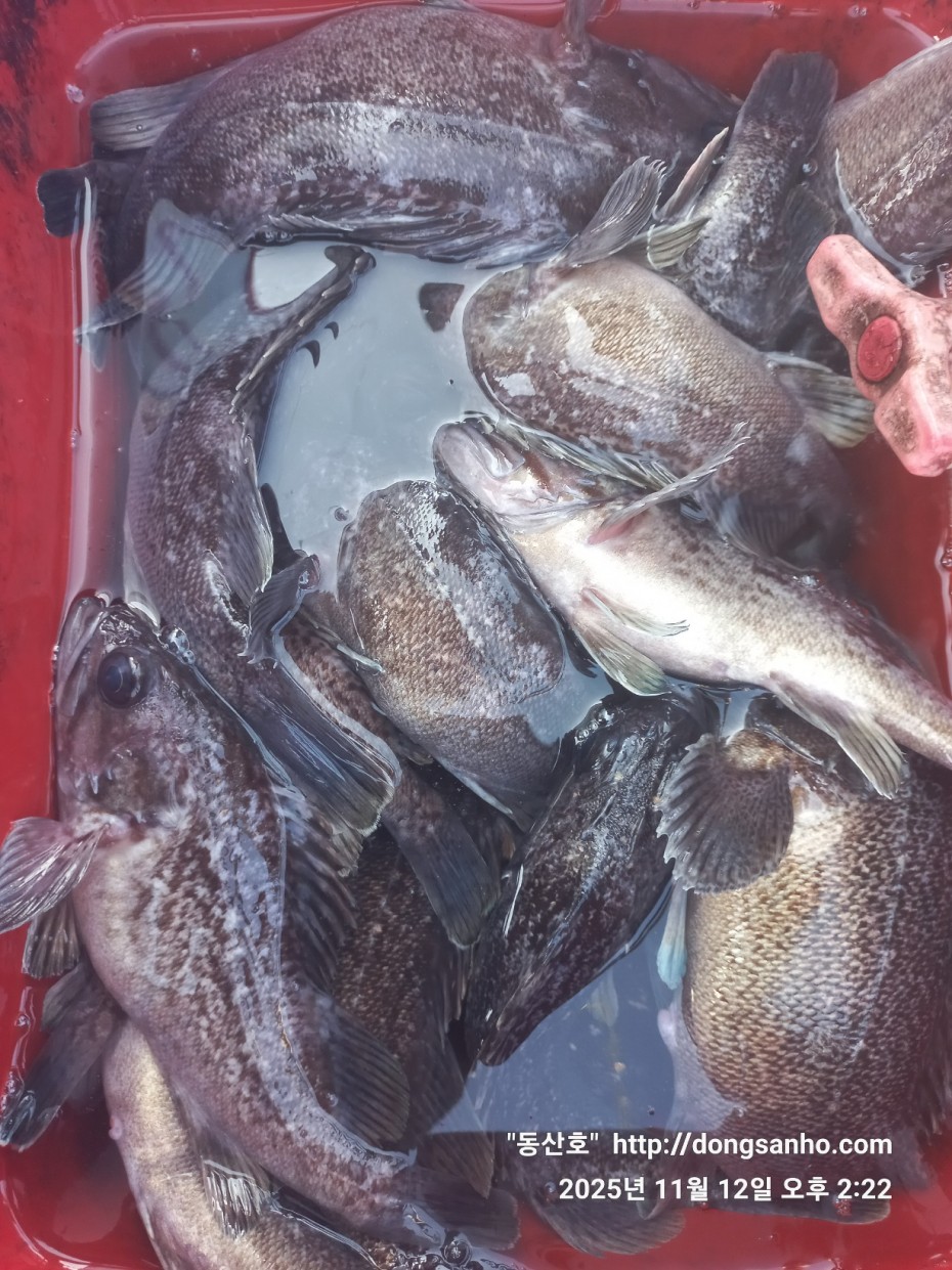
        서해 동산피싱 우럭낚시 조황



    날짜 : 11월12일 (수요일)


    날씨 : 맑음 (장판)


    물때 : 조금


    성적 : 우럭 볼락



    우럭낚시 황금물때 둘째날입니다.


    아쉽게도 전원만쿨 조황에서 두분이 2%씩 부족하네요.


    그래도 굿~ 조황입니다.



    오늘 하루도 수고들하셨습니다.



    ☆쭈갑시즌이 마무리중~

 

        쭈꾸미낚시 졸업식 출조는 11/24, 11/25 예약가능합니다.


 

 

    ※11~12월 광어 우럭낚시 개인출조 예약진행중입니다.


    ※11월 다잡아외수질 출조시 병행 광어 다운샷 가능합니다.

 

    ※빠른 조황정보는 "동산호" 밴드에서 확인 부탁합니다.

  

    ※출조일정 실시간 예약현황 예약등록가능  "클릭"

 

    ※예약문의 : 010-8771-5168 



92c452c58eeac18ef7f956f80bad05e6_1762968

92c452c58eeac18ef7f956f80bad05e6_1762968

92c452c58eeac18ef7f956f80bad05e6_1762968

92c452c58eeac18ef7f956f80bad05e6_1762968

92c452c58eeac18ef7f956f80bad05e6_1762968

92c452c58eeac18ef7f956f80bad05e6_1762968

92c452c58eeac18ef7f956f80bad05e6_1762968

92c452c58eeac18ef7f956f80bad05e6_1762968

92c452c58eeac18ef7f956f80bad05e6_1762968

92c452c58eeac18ef7f956f80bad05e6_1762968

92c452c58eeac18ef7f956f80bad05e6_1762968

     #선상낚시 #배낚시 #바다낚시 #낚시배

       #장고항선상낚시 #장고항배낚시 #장고항바다낚시 #장고항낚시배  

       #당진선상낚시 #당진배낚시 #당진바다낚시 #당진낚시배

       #우럭낚시 #서해우럭낚시 #개우럭 #참우럭 #조피볼락

       #서해선상낚시 #서해배낚시 #서해바다낚시 #서해낚시배

       #쭈꾸미낚시 #주꾸미낚시 #갑오징어낚시 #서해쭈꾸미낚시 #서해주꾸미낚시 

       #당진쭈꾸미낚시 #당진주꾸미낚시 #장고항쭈꾸미낚시 #장고항주꾸미낚시

       #광어 #다운샷 #광어다운샷 #대광어 #외수질 #산새우외수질 #농어 

       #농어외수질 #농어외수질낚시 #서해안선상낚시 #서해안배낚시​ 

댓글목록

등록된 댓글이 없습니다.